Ausdauer und Kraft

Ausdauer-Fasern

Bestimmte Aktivitäten kann man beinahe endlos ausüben, ohne dass der Muskel erschöpft. Andererseits kann man ein schweres Gewicht, das man gerade einmal anheben kann, nicht gleich wieder ein zweites mal anheben. Hohe Widerstände bedingen eine kurze Belastungszeit. Wir kommen zum Unterschied zwischen Ausdauer und Kraft. Zunächst: Es gibt – vereinfacht dargestellt – zwei verschiedene Typen von Muskelfasern:

Ausdauerfasern, rote oder langsame Fasern genannt. Sie sind optimal dafür ausgestattet, Ausdauerleistungen zu erbringen. Sie erschöpfen langsam, ihre Zuckungsgeschwindigkeit ist langsam, ihr Kraftpotential ist niedrig. Die Ausdauerfasern neigen nicht zu einer großen Massenzunahme.

Kraft-Fasern

Kraftfasern, auch weiße oder schnelle Fasern genannt. Sie sind optimal dafür ausgestattet, Kraftleistungen zu erbringen. Sie erschöpfen schnell, ihre Zuckungsgeschwindigkeit ist hoch (Schnellkraftfasern), ihr Ausdauerpotential ist niedrig. Die Kraftfasern neigen zu einer großen Massenzunahme.
Normalerweise besitzt kein Muskel ausschließlich nur Kraft- oder Ausdauerfasern. Muskeln sind Mischtypen. Wie an anderer Stelle bereits beschrieben sind überwiegende Ausdauermuskeln und überwiegende Kraftmuskeln am Körper aber typisch verteilt. Dies führt bei Trainingsmangel zu der typischen Haltungsschwäche mit Rundrücken und Hohlkreuz

Direkt zu Ihrem Problem - Körperhaltung und Form der WS - Muskuläre Dysbalance

Gelegentlich produziert die Erbanlage aber Extreme, an denen man den Unterschied zwischen Ausdauer- und Kraftmuskel spontan sehen kann.

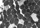
Muskelfaserqueerschnitt eines Marathonläufers

Marathonläufer

Der typische Marathonläufer: seine gesamte Muskulatur besteht fast nur aus Ausdauerfasern. Er hat dünne, ausdauernde Muskeln. Sein Kraftpotential ist niedrig.
Der typische Gewichtheber: seine gesamte Muskulatur besteht fast nur aus Kraftfasern. Er hat dicke, kräftige Muskeln: sein Ausdauerpotential ist niedrig.

Muskelfaserqueerschnitt eines Sprinters

Sprinter

Hierher gehört auch der 100m-Sprinter: Wer ist der Schnellste? Der mit den „dicksten“ Oberschenkeln: Kraftfasern entwickeln eine große Muskelmasse, Kraftfasern zucken am schnellsten (hohe Schnellkraft).
Die Genetik bestimmt die Spitzenleistung im Sport. Durch Training kann man aus einem geborenen Marathonläufer keinen Gewichtheber machen, und umgekehrt aus einem geborenen Gewichtheber (oder Bodybuilder) keinen Marathonläufer. Die meisten Menschen liegen irgendwo in der Mitte zwischen den Extremen.
Das Training der Ausdauer-Fasern und der Kraft-Fasern verlangt unterschiedliche Trainingswiderstände und Belastungszeiten.
Lesen Sie dazu bitte die Kapitel:
Spezielle Trainingsreize
Die Gesetze der Muskelaktivität